Language Boxes Grid
Arabic
Greek
Spanish
Croatian
Italian
Japanese
Oromo
Somali
Serbian
Thai
Tigrinya
Turkish
Vietnamese
Chinese Simplified
Chinese Traditional
English

Process for road discontinuances

Current road discontinuances

Yarra City Council's proposed road discontinuances are listed below. Click on an item to find out more information about the specific proposals and make your submission.

243-245 Gertrude Street Fitzroy - open until 11:59pm on Tuesday 17 February

Yarra City Council (Council), acting under clause 3 of schedule 10 to the Local Government Act 1989 (Act), proposes to discontinue the roads abutting 243-245 Gertrude Street, Fitzroy, as shown cross-hatched on the plan below, being the whole of the land contained in certificates of title volume 10192 folio 183 and volume 9702 folio 575 (Roads).

The proposal is that Council discontinue the Roads and sell the Roads to the owner of 243-245 Gertude Street, Fitzroy (Adjoining Owner) on terms acceptable to Council, or retain the Roads.

Image of 243-245 Gertrude Street Fitzroy, for Road Discontinuance

Any person may make a submission on the proposal.

Any person wishing to make a submission under section 223 of the Act must do so in writing by 17 February 2026.

All submissions will be considered in accordance with section 223 of the Act. Submissions should be addressed to the Chief Executive Officer, and may be submitted as follows:

  1. online at a dedicated Yarra City Council ‘Your Say’ webpage by scanning the below QR code; or
  2. hand delivered to Council's Municipal Office at 333 Bridge Road, Richmond; or
  3. posted to the following address:

Sue Wilkinson,
Chief Executive Officer,
Y
arra City Council
PO Box 168
RICHMOND VIC3121

An Extraordinary Council Meeting to hear submissions will be held at 6:30pm on Tuesday, 3 March 2026 at Richmond Town Hall.

Any person requesting to be heard in support of their submission is entitled to be heard before Council (or its committee established by Council for this purpose) or be represented by a person acting on their behalf. Anyone wishing to speak must clearly state this request in their written submission.

Following the hearing of submissions at the Extraordinary Council Meeting, the matter will be considered by Council at a subsequent Ordinary Council Meeting. As the opportunity to address Council will have been provided at the Extraordinary Meeting, there will be no further opportunity to speak at the Ordinary Meeting.

After considering all submissions, Council may resolve not to discontinue the Roads, or to discontinue the Roads and either retain the former Roads or sell the former Roads to the Adjoining Owner.

For more information on the proposal, please contact the Property Services team on [email protected]

Sue Wilkinson, Chief Executive Officer, Yarra City Council

Budd Street Collingwood, Lot 1 - open until 11:59pm on Monday 16 February

Yarra City Council (Council), acting under clause 3 of schedule 10 to the Local Government Act 1989 (Act), proposes to discontinue part of the road known as Budd Street, Collingwood, shown as Lot 1 on the plan below (Road), being part of the land contained in Part Crown Portion 81, Parish of Jika Jika and part of the land remaining in Conveyance Book K No. 890.

The proposal is that Council discontinue the Road and retain the land comprising the Road for public open space purposes. The rights of any public authorities will be saved pursuant to section 207C of the Act.

Image of Budd Street Collingwood, Lot 1 for Road Discontinuance

Any person may make a submission on the proposal.

Any person wishing to make a submission under section 223 of the Act must do so in writing by Monday, 16 February 2026.

All submissions will be considered in accordance with section 223 of the Act. Submissions should be addressed to the Chief Executive Officer, and may be submitted as follows:

  1. online at a dedicated Yarra City Council ‘Your Say’ webpage by scanning the below QR code; or
  2. hand delivered to Council's Municipal Office at 333 Bridge Road, Richmond; or
  3. posted to the following address:

Sue Wilkinson
Chief Executive Officer,
Yarra City Council
PO Box 168
RICHMOND VIC 3121

An Extraordinary Council Meeting to hear submissions will be held at 6:30pm on Tuesday, 3 March 2026 at Richmond Town Hall.

Any person requesting to be heard in support of their submission is entitled to be heard before Council (or its committee established by Council for this purpose) or be represented by a person acting on their behalf. Anyone wishing to speak must clearly state this request in their written submission.

Following the hearing of submissions at the Extraordinary Council Meeting, the matter will be considered by Council at a subsequent Ordinary Council Meeting. As the opportunity to address Council will have been provided at the Extraordinary Meeting, there will be no further opportunity to speak at the Ordinary Meeting.

After considering all submissions, Council may resolve not to discontinue the Road, or to discontinue the Road and then transfer the Road to itself.

For more information on the proposal, please contact the Property Services team on [email protected]

Sue Wilkinson, Chief Executive Officer, Yarra City Council

Mater Street Collingwood, Lot 1 - open until 11:59pm on Monday 16 February

Yarra City Council (Council), acting under clause 3 of schedule 10 to the Local Government Act 1989 (Act), proposes to discontinue part of the road known as Mater Street, Collingwood, shown as Lot 1 on the plan below (Road), being part of the land contained in certificate of title volume 11370 folio 776.

The proposal is that Council discontinue the Road and retain the land comprising the Road for public open space purposes. The rights of any public authorities will be saved pursuant to section 207C of the Act.

Lot drawing of Mater Street Collingwood

Any person may make a submission on the proposal.

Any person wishing to make a submission under section 223 of the Act must do so in writing by Monday, 16 February 2026.

All submissions will be considered in accordance with section 223 of the Act. Submissions should be addressed to the Chief Executive Officer, and may be submitted as follows:

  1. online at a dedicated Yarra City Council ‘Your Say’ webpage by scanning the below QR code; or
  2. hand delivered to Council's Municipal Office at 333 Bridge Road, Richmond; or
  3. posted to the following address:

Sue Wilkinson
Chief Executive Officer,
Yarra City Council
PO Box 168
RICHMOND VIC 3121

An Extraordinary Council Meeting to hear submissions will be held at 6:30pm on Tuesday, 3 March 2026 at Richmond Town Hall.

Any person requesting to be heard in support of their submission is entitled to be heard before Council (or its committee established by Council for this purpose) or be represented by a person acting on their behalf. Anyone wishing to speak must clearly state this request in their written submission.

Following the hearing of submissions at the Extraordinary Council Meeting, the matter will be considered by Council at a subsequent Ordinary Council Meeting. As the opportunity to address Council will have been provided at the Extraordinary Meeting, there will be no further opportunity to speak at the Ordinary Meeting.

After considering all submissions, Council may resolve not to discontinue the Road, or to discontinue the Road and then transfer the Road to itself.

For more information on the proposal, please contact the Property Services team on [email protected]

Sue Wilkinson, Chief Executive Officer, Yarra City Council

Past road discontinuances

The following road discontinuances are closed. Click on a heading below to find out more information about the specific proposals.

58 Gipps Street Collingwood - closed at 11:59pm on Friday 12 December 2025

Yarra City Council (Council), acting under clause 3 of schedule 10 to the Local Government Act 1989 (Act), proposes to discontinue the road abutting 58 Gipps Street, Collingwood, shown as the 3.5 square metre parcel on the plan below, being part of the land contained in certificate of title volume 02474 folio 669 (Road).

The proposal is that Council discontinue the Road and transfer the land comprising the Road to the owner of 58 Gipps Street, Collingwood (Owner).

Map showing land affected by the proposed changes.

Any person may make a submission on the proposal.

Any person wishing to make a submission under section 223 of the Act must do so in writing by Friday, 12 December 2025.

All submissions will be considered in accordance with section 223 of the Act. Submissions should be addressed to the Chief Executive Officer, and may be sent as follows:

  1. online using the form below
  2. hand delivered to Council's Municipal Office at 333 Bridge Road, Richmond; or
  3. post to the following address:

Sue Wilkinson,
Chief Executive Officer,
Yarra City Council
PO Box 168
RICHMOND VIC 3121

Any person requesting to be heard in support of their submission is entitled to be heard before Council (or its committee established by Council for this purpose) or be represented by a person acting on their behalf and will be notified of the time and date of the hearing.

Following consideration of submissions, Council may resolve not to discontinue the Road or to discontinue the Road and then either retain or sell the former Road to the Owner.

For more information on the proposal, please contact the Property Services team on [email protected]

Sue Wilkinson, Chief Executive Officer, Yarra City Council.

1 View Street Alphington - closed at 11:59pm on Friday 21 November 2025

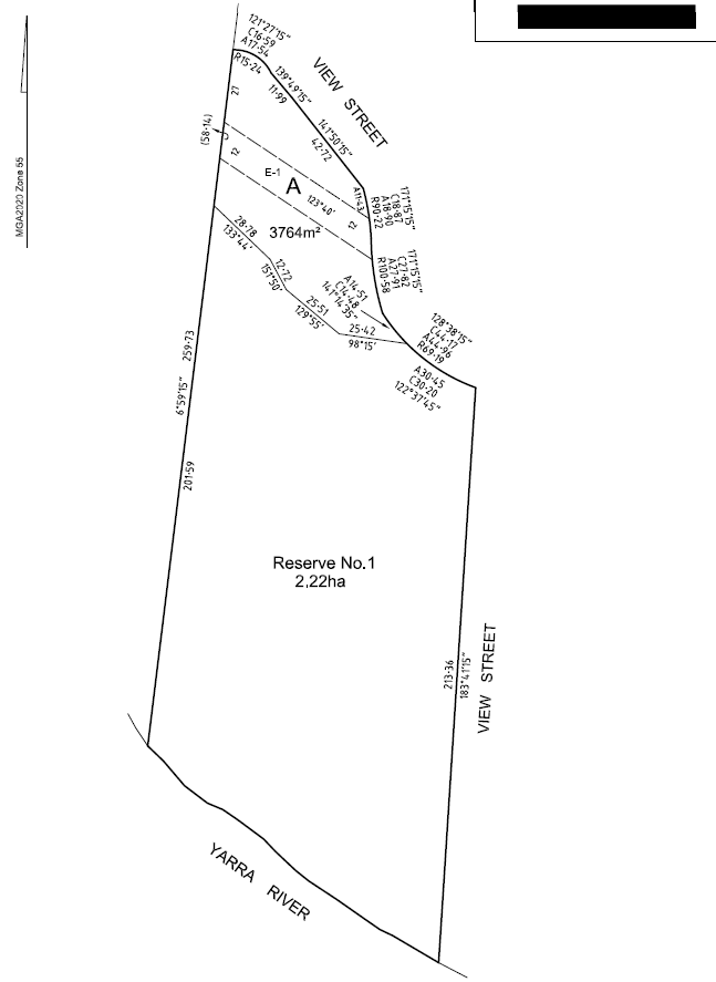
Yarra City Council (Council), acting under clause 3 of schedule 10 to the Local Government Act 1989 (1989 Act), proposes to discontinue the road abutting 1 View Street, Alphington marked as lot 1 on the plan below, being part of the land contained in memorial book Q, number 429, at View Street, Alphington (Road), and sell the former Road to the owner of the adjoining land known as 1 View Street, Alphington (Adjoining Owner).

Sketch of a plan to discontinue part of the road

Proposal to acquire land by agreement

Yarra City Council (Council) gives notice under section 112(3) of the Local Government Act 2020 (2020 Act) and Council’s Community Engagement Policy, that it intends to acquire part of the land known as 1 View Street, Alphington and shown as ‘Reserve No. 1’ on the plan below, being part of the land contained in certificate of title volume 6146 folio 076 (Acquisition Land) from the Adjoining Owner.

Map showing land affected by the proposed changes.

Submissions

The proposal is that the Adjoining Owner will sell to Council the Acquisition Land and Council will discontinue and sell the former Road to the Adjoining Owner as part of a land swap arrangement (Land Exchange Proposal). The Land Exchange Proposal is subject to Council’s rights in respect of drainage assets in the former Road being saved under section 207C of the 1989 Act.

The principle terms of the Land Exchange Proposal are as follows:

  1. the Acquisition Land will support the expansion of public open space adjoining Alphington Park in accordance with Council’s Open Space Strategy 2020;
  2. the Land Exchange Proposal is:
    a. subject to and conditional upon Council complying with its statutory obligations under both clause 3 of Schedule 10 and s 223 the 1989 Act and s 112(3) of the 2020 Act; andb. the registration of a plan of subdivision to excise the Acquisition Land from the balance of the title;
  3. the contract of sale for the Acquisition Land will be interdependent with the contract of sale between the Council (as vendor) and the Adjoining Owner (as purchaser) in respect of the Road (Second Contract);
  4. settlement of the contract of sale for the Acquisition Land will be effected contemporaneously with settlement of the Second Contract;
  5. the purchase price of the Acquisition Land and the purchase price of the Road will be $1.00 plus GST; and
  6. the area of the Acquisition Land proposed to be purchased by Council is greater than the area of the Road proposed to be sold by Council under the Land Exchange Proposal.

In accordance with s 223 of the 1989 Act and Council’s Community Engagement Policy, any person may make a submission in relation to:

  1. the proposal to discontinue the Road; and/or
  2. the proposal to acquire the Acquisition Land; and/or
  3. both the proposal to discontinue the Road and the proposal to acquire the Acquisition Land.

Any person wishing to make a submission must do so in writing by Friday, 21 November 2025.

All submissions will be considered in accordance with section 223 of the 1989 Act and Council’s Community Engagement Policy. Submissions should be addressed to the Chief Executive Officer, and may be submitted as follows:

  1. online using the form below
  2. hand delivered to Council's Municipal Office at 333 Bridge Road, Richmond; or
  3. post to the following address:

Sue Wilkinson,
Chief Executive Officer,
Yarra City Council
PO Box 168
RICHMOND VIC 3121

Any person requesting to be heard in support of their submission is entitled to be heard before Council (or its committee established by Council for this purpose) or be represented by a person acting on their behalf. Anyone wishing to speak must clearly state this request in their written submission.

For more information on the proposal, please contact the Property Services team on [email protected]

Sue Wilkinson, Chief Executive Officer, Yarra City Council.

261-263 Holden Street Fitzroy North - closed at 11:59pm on Friday 10 October 2025

Yarra City Council (Council), acting under clause 3 of schedule 10 to the Local Government Act 1989 (Act), proposes to discontinue the road between 261 and 263 Holden Street, Fitzroy North shown as the 49 square metre parcel on the plan below, being part of the land in certificate of title volume 3480 folio 811 (Road).

The proposal is that Council discontinue the Road and transfer the land comprising the Road to the owner of 261 and 263 Holden Street, Fitzroy North (Owner).

Any person may make a submission on the proposal.

Any person wishing to make a submission under section 223 of the Act must do so in writing by Friday 10 October 2025.

All submissions will be considered in accordance with section 223 of the Act. Submissions should be addressed to the Chief Executive Officer, and may be sent as follows:

1. online form (below)

2. hand delivered to Council's Municipal Office at 333 Bridge Road, Richmond; or

3. post to the following address:

Sue Wilkinson,
Chief Executive Officer,
Yarra City Council
PO Box 168
RICHMOND VIC 3121

Any person requesting to be heard in support of their submission is entitled to be heard before Council (or its committee established by Council for this purpose) or be represented by a person acting on their behalf and will be notified of the time and date of the hearing. Anyone wishing to speak must clearly state this request in their written submission.

Following consideration of submissions, Council may resolve not to discontinue the Road or to discontinue the Road and then either retain or sell the former Road to the Owner.

For more information on the proposal, please contact the Property Services team on [email protected]

Sue Wilkinson, Chief Executive Officer, Yarra City Council

74-76 Rose Street Fitzroy - closed at 11:59pm on Friday 12 September

Yarra City Council (Council), acting under clause 3 of schedule 10 to the Local Government Act 1989 (Act), proposes to discontinue the road abutting 74-76 Rose Street, Fitzroy, shown as the 45m2 parcel on the plan below, being part of the land contained in certificate of title volume 09775 folio 989 (Road).

The proposal is that Council discontinue the Road and transfer the land comprising the Road to the owner of 74-76 Rose Street, Fitzroy (Owner).


Any person may make a submission on the proposal.

Any person wishing to make a submission under section 223 of the Act must do so in writing by Friday, 12 September 2025.

All submissions will be considered in accordance with section 223 of the Act. Submissions should be addressed to the Chief Executive Officer, and may be sent as follows:

1. online form (below)

2. hand delivered to Council's Municipal Office at 333 Bridge Road, Richmond; or

3. post to the following address:

Sue Wilkinson,
Chief Executive Officer,
Yarra City Council
PO Box 168
RICHMOND VIC 3121

Any person requesting to be heard in support of their submission is entitled to be heard before Council (or its committee established by Council for this purpose) or be represented by a person acting on their behalf and will be notified of the time and date of the hearing.

Following consideration of submissions, Council may resolve not to discontinue the Road or to discontinue the Road and then either retain or sell the former Road to the Owner.

For more information on the proposal, please contact the Property Services team on [email protected]

Sue Wilkinson, Chief Executive Officer, Yarra City Council

37-45 Best Street, Fitzroy North - closed 11.59pm on Friday 13 June 2025

Project Update - September 2025

At the Council Meeting on Tuesday 9 September 2025, Councillors voted not to discontinue a road abutting 37-45 Best Street in North Fitzroy.

The decision means that the bluestone laneway will be retained as a road and will not be sold to the adjoining owner.

Read more about this decision on the Yarra City Council website.


Extraordinary Council Meeting - July 2025

Thank you for your submissions. At the Extraordinary Council Meeting on 1 July 2025, submitters who requested to be heard had the opportunity to speak to their submission. Council is now working through all the submissions received, which will be presented to Council later in the year for a final decision.

Yarra City Council (Council), acting under clause 3 of schedule 10 to the Local Government Act 1989 (Act), proposes to discontinue the road abutting 37-45 Best Street, Fitzroy North, shown as the 75 square metre parcel on the plan below, being part of the land in certificate of title volume 653 folio 458 (Road).

The proposal is that Council discontinue the Road and transfer the land comprising the Road to the owner of 37-45 Best Street, Fitzroy North (Owner).

Contact Us

If you have questions or want to learn more about any of these projects, please contact us below:

Contact Information
Name Yarra Property Services team
Phone 0392055555
Email [email protected]